A/B/C/D/KYČLE kombinace a chov dalmatina


ℹ️🐾 DALMATIN - ZDRAVÍ
Námět k zamyšlení...
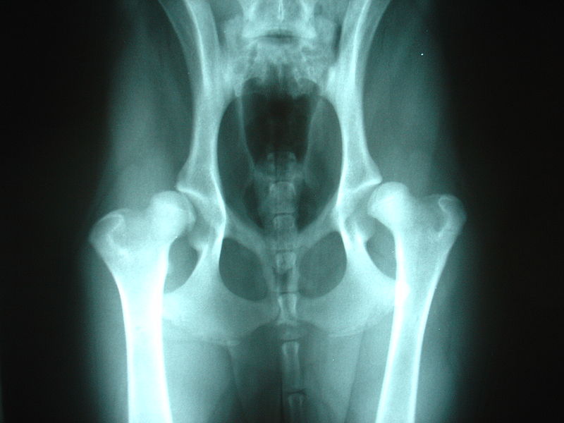
Zdravím všechny, neustále dostávám jakési opovržení nad tím, že si chovatelé "v pohodě" kryjí "Béčkovými" kyčlemi, a jako by se roztrhl pytel s tím, jak je to strašné. Zatímco nad "C" nebo "D" kyčlemi se v chovu nikdo nepozastaví, ani v jejich kombinaci rodičů štěnat. Co se týče dysplazie, je to neustále házení zrnka písku všemi směry..
Uvědomte si prosím, že "B" kyčle nejsou špatné ani pro život dalmatina, ani pro Chov dalmatinů. Je velký rozdíl kombinovat "A" s "B" nebo "C" a je velký rozdíl kombinovat "C" s "C" , nebo s "D"... atd.
Není všeobecně známo, že výsledek "B" může být trochu "různorodý" a nejednou se stalo, že nejeden odborný posuzovatel naměřil "A" Béčku a naopak "B" Áčku. Přičemž velmi záleží na provedení RTG snímku prováděného moderním typem rentgenologické digitalizace, pro maximální kvalitu zhotovených rentgenogramů, nikoliv běžný rentgen u obecného veterináře, plus následně velmi závisí na úhlu měření. To pro základ vysvětlení jistě stačí. :) Jak je tedy možné, že mnozí z nově příchozích a bohužel i z těch, kteří existují s dalmatiny už nějakou dobu, se pohoršují nad "B" přičemž se nejedná o špatný zdrav. stav psa. Což u kyčelního kloubu typu "C" , "D" , "E" či loketního kloubu typu "2" , "3" říci nemohu.
Chápu, chov dalmatina je těžký, ne tak moc těžký jako spíše složitý, a všechno znát je někdy náročné a chce to určitě čas. Rozumím i tomu, když vím, že CHOV DALMATINA NIKDO NEUČÍ, pak se veřejně "papouškuje" jen to, co se nese vzduchem nebo strejda google,... žalostně málo.
Nebylo by ale mnohem lepší vyhledat opravdu znalé chovatele, odborníky, či speciální veterináře s aprobací nebo licencí, kteří jsou jmenováni veterinární komorou ? .. kteří vás mohou naučit správným znalostem nejen v případě, že chcete být chovatelem, ale i majitelem zdravého dalmatina? Že znalí chovatelé už své znalosti chrání před zneužitím? A nebylo by lepší takové chovatele respektovat? Napadlo vás někdy, se o tom všem dozvědět správně a více?...
Myslíte si, že výstavy nebo zahraniční nájezdy tisíců a tisíců km zajišťují zdraví plemene?... A kde berete jistotu, že v cizích zemích mají stejné podmínky pro CHOV DALMATIANŮ jako u nás v ČR a to nejen pro dysplazii? ...
Pro DYSPLAZII V PRAXI to znamená, že posudky jednotlivých veterinářů a rtg můžou být:
- různě přísné nebo naopak mírné vyhodnocení rtg..
- různé výsledky i v různém věku..
- jeden ten samý pes muže mít ve dvou zemích posouzení naprosto odlišné..
Ano, samozřejmě že nejsou stejné, všude se mohou lišit a co je nebo není povoleno u nás, je či může být dovoleno jinde. Jsou země, kde se bežně chová na dalmatinech s modrýma očima, jednostranné hluchotě nebo dlouhosrstých dalmatinech a dalším... Že to není možné? Je, je to realita.Tak se prosím zamyslete sami, nebuďte naivní a nesuďte podle pouhého zrnka písku, když se písky nacházejí po celém světě. Plemeno Dalmatin a slušní chovatelé dalmatinů si takový post rozhodně nezaslouží..ℹ️🐾
Věrka Hejtíková, chs CHERRYTAS
